Úřední deska

Vyvěšení úmyslu prodeje pozemku

Jan Dvořák  14.12.2010 08:54

Na úřední desce od 13.12.2010 do 31.12.2010

MĚSTSKÝ ÚŘAD V RYCHNOVĚ U JABLONCE NAD NISOU

Husova č.p.490, PSČ 468 02, telefon 488 880 930, fax 488 880 921

 
 

                                                                                  V Rychnově u Jablonce nad Nisou

                                                                                  dne  14. prosince 2010

 
 
 
 

V ě c   :   vyvěšení úmyslu.

 
 

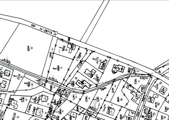
V souladu se zákonem o majetku obcí v y v ě š u j e m e úmysl prodeje pozemku č. 1485 v katastrálním území a obci Rychnov u Jablonce nad Nisou.

 
 

   Důležité upozornění : V případě prodeje nemovitosti se postupuje dle „Zásad postupu při prodeji nemovitostí ve vlastnictví města Rychnova u Jablonce nad Nisou, schválené usnesením městského zastupitelstva v Rychnově u Jablonce nad Nisou č. 140/08 ze dne 8.12.2008.

 
           

            Vyvěšeno :      

            Sejmuto :

Jan Dvořák

odbor výstavby MěÚ

Město Rychnov u Jablonce nad Nisou

Husova 490
46802 Rychnov u Jablonce nad Nisou

IČO 00262552
Bankovní spojení 963232349/0800

Telefon: +420 488 880 921
Datová schránka: fjxbbm5

Město Rychnov u Jablonce nad Nisou - idatabaze.czMěstské, obecní úřady - idatabaze.cz

Úřední hodiny

Po8:00 – 11:0012:00 – 17:00
Út8:00 – 11:0012:00 – 14:00
St8:00 – 11:0012:00 – 17:00
Čt8:00 – 11:0012:00 – 14:00

Stavební úřad

Po8:00 – 11:0012:00 – 17:00
St8:00 – 11:0012:00 – 17:00
© MěÚ Rychnov u Jabl.n.N.
Tento web používá k poskytování služeb a analýze návštěvnosti soubory cookie. Používáním tohoto webu s tím souhlasíte.